1. tanah dijual cilandak jakarta selatan
  2. JUAL TANAH di Cipete, Jakarta Selatan

dijual

Rp.89,953,000,000

tanah

JUAL TANAH di Cipete, Jakarta Selatan

cilandak, jakarta selatan

Cipete

Spesifikasi

Detail informasi properti

Kamar Tidur
-
Kamar Mandi
-
Lantai
-
Luas Tanah
3911
Luas Bangunan
-
Sertifikat
SHM

Deskripsi

Deskripsi mengenai properti

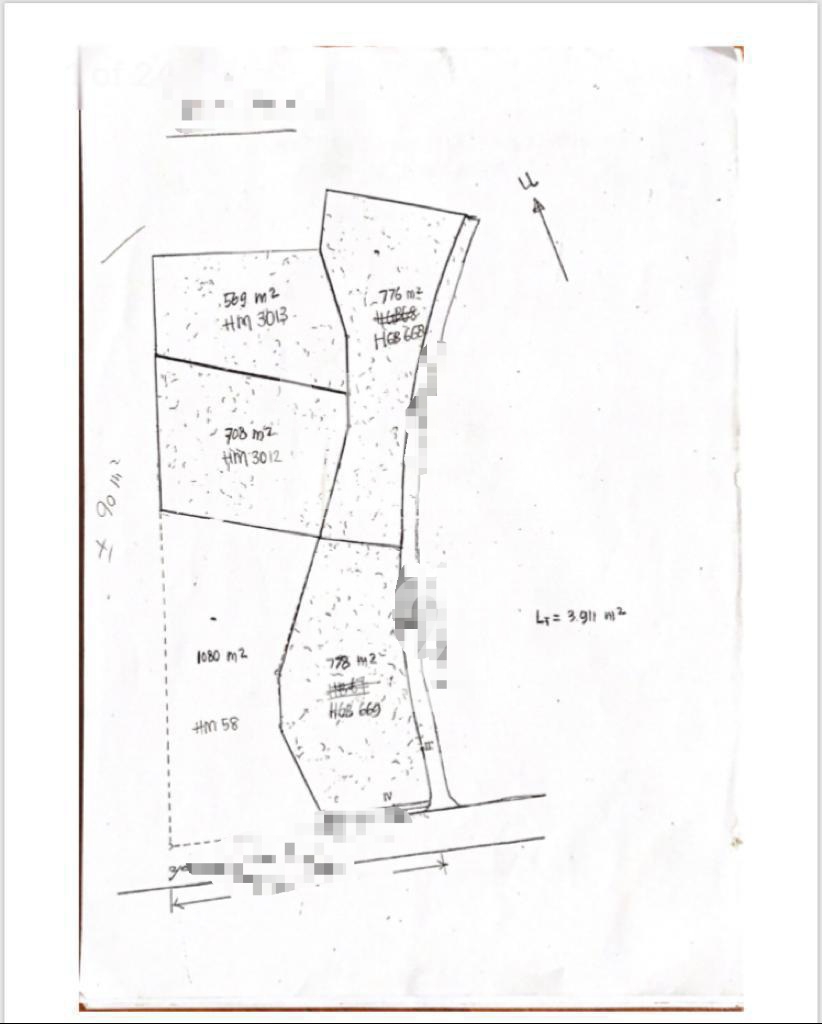
TT032 JUAL TANAH di Cipete, Jakarta Selatan Harga: 23 jt/ m2. Luas tanah: total 3.911 m2 dengan detail sbb: 1. SHM 58 LT 1.080 m2 2. SHM 3012 LT 708 m2 3. SHM 3013. LT 569 m2 4. SHGB 668. LT 776 m2 5. SHGB. 669. LT 778 m2 Selling Point: - Strategis di jalan Utama daerah Cipete - Seberang jalan rumah makan/restaurant terkenal - Market value Rp. 25-30juta/meter - SHGB baru diperpanjang. NJOP Rp 16.155.000 / m2 comercial area

Tommy
Tommy
085218181309
Jual tanah komersil zona r10 di Cilandak, Jakarta Selatan
dijual

Rp.146,000,000,000

Jual tanah komersil zona r10 di Cilandak, Jakarta Selatan

di Lebak Bulus, Cilandak, Jakarta Selatan

cilandak, jakarta selatan
TANAH STRATEGIS PONDOK LABU
dijual

Rp.41,175,000,000

TANAH STRATEGIS PONDOK LABU

jl. Pinang Kalijati No. 72, Pondok Labu, Jakarta Selatan.

cilandak, jakarta selatan
Dijual Tanah di Jl. RS Fatmawati Raya, Pondok Labu, Cilandak
dijual

Rp.80,835,000,000

Dijual Tanah di Jl. RS Fatmawati Raya, Pondok Labu, Cilandak

Jl. RS Fatmawati Raya, Pondok Labu, Cilandak, Jakarta Selatan

cilandak, jakarta selatan
Dijual Tanah + SPBU Lebak Bulus, Cilandak, Jakarta Selatan
dijual

Rp.45,000,000,000

Dijual Tanah + SPBU Lebak Bulus, Cilandak, Jakarta Selatan

Lebak Bulus

cilandak, jakarta selatan
kiosrumah.com

Kiosrumah.com - Portal properti indonesia. Pasang dan cari iklan disini gratis

SITEMAP

KONTAK

Email:

cs@kiosrumah.com